This Newly-Discovered Plant Is So Metal That It Eats Metal
Rock on, plant-bro.

Just last week, a new plant was discovered with shapeshifting powers to rival Mystique’s. Now, scientists have discovered and even more hardcore plant – a plant that isn’t satisfied with eating your regular old sunlight. No, this plant eats something way more metal: metal.
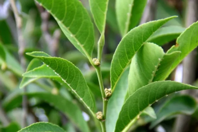
Professor Edwino Fernando and his team at the University of the Philippines, Los Baños just published their new plant findings in PhytoKeys. According to them, the Rinorea niccolifera – found on the western part of Luzon Island in the Philippines – accumulates 18,000 ppm of nickel in its leaves. That’s approximately a thousand times more metal than plants typically ingest – most other plants would die of nickel poisoning if they tried to do what the niccolifera does like it’s no big deal.
The plant is amongst the 0.5% to 1% of plants in the entire world that chows down on so much metal – one of only 450 species total. These hyperacccumulator plants are currently being examined for the development of various green technologies. And for being the most bad-ass of all plant life. Obviously.
(via Pensoft)
- Could plants grow on Mars?
- This newly-discovered plant is basically Mystique
- This app will tell you when your fruit is ripest
Have a tip we should know? [email protected]